Річка має береги, заплави, пороги та водоспади…
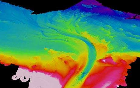
Три роки тому британські вчені знайшли на березі Чорного моря підводну річку. Ця річка переносить величезний обсяг води – понад 22 000 метра кубічних за секунду.
Сама річка простягнулася на 68,5 кілометрів і має ширину близько кілометра, з максимальною глибиною у 35 метрів.
Якби ця річка текла сушею, то була б за шостою річкою у світі за повноводністю. Попри те, що річка тече під землею, вона має пороги та справжнісінькі водоспади.
Єдиною істотною відмінністю від наземних річок є те, що під час різкого обвалення в порожнині вода закручується по спіралі не праворуч за годинниковою стрілкою, як диктує сила Коріоліса в Північній півкулі, де розташоване Чорне море, а, навпаки, проти годинникової стрілки.
А ще вода у цій річці має надзвичайно велику концентрацію солі.

